© 2026 WUOT

WUOT
209 Communications Building
1345 Circle Park Drive
University of Tennessee
Knoxville, TN 37996-0322
Play Live Radio
Next Up:
0:00
0:00
0:00 0:00
Available On Air Stations

Hurricane Iota Makes Landfall In Nicaragua, Region Braces For 'Catastrophic' Impact

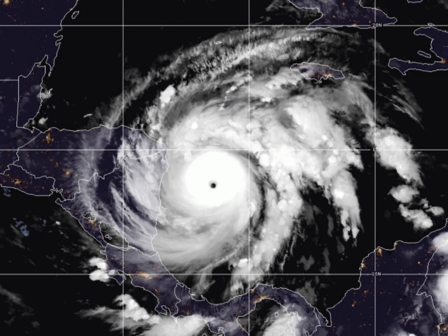
This satellite image made available by NOAA shows Hurricane Iota in the North Atlantic Ocean on Monday, at 07:11 EST.
NOAA
/
AP
This satellite image made available by NOAA shows Hurricane Iota in the North Atlantic Ocean on Monday, at 07:11 EST.

Updated at 5:05 a.m. ET on Tuesday

Hurricane Iota has made landfall in Nicaragua as a Category 4 storm, with the Central American region bracing for the possibility of catastrophic damage.

Iota crossed into Nicaragua near the town of Haulover, approximately 15 miles south of where Hurricane Eta also struck as a Category 4 on Nov. 3.

Nicaragua, along with Honduras, Guatemala, and southern Belize, which are flanked by the Caribbean Sea and the Pacific Ocean, are still trying to recover from the widespread devastation caused by Hurricane Eta, which left tens of thousands homeless.

At the time, Eta was the strongest storm to ever hit Nicaragua in the month of November.

The National Hurricane Center has warned of "catastrophic winds, life-threatening storm surge, and torrential rainfall" across Central America from the latest storm.

When it made landfall, Iota had sustained winds of 155 mph – a Category 4 hurricane, but by 4 a.m. ET, it had lost strength, becoming a Category 2 storm, with winds at 105 mph, according to the U.S.-based National Hurricane Center. The storm was centered about 10 miles east-northeast of El Pia, Nicaragua. Before making landfall, Iota reached Category 5 for a time.

Besides Iota's incredible strong winds — expected to rip apart roofs and shatter some buildings completely — it is also bringing a massive storm surge, rain and flooding. Water is always the biggest killer in any tropical event and this will be no exception; Iota is a "bigger" storm than Eta in terms of how wide the windfield is. That means more people will feel the effects of the storm.

This is the record 30th named storm and strongest hurricane of the 2020 Atlantic Season.

As the National Hurricane Center warns:

"Through Thursday, heavy rainfall from Iota will likely lead to life-threatening flash flooding and river flooding across portions of Central America. Flooding and mudslides in Honduras and Nicaragua could be exacerbated by Hurricane Etas recent effects there, resulting in significant to potentially catastrophic impacts."

Iota has continued to outperform forecasts. Among its achievements:

  • Iota intensified 100 mph in 36 hours. Prior to 2020, 8 storms did this in 169 years of recordkeeping. In the last two months, three storms have done it (Delta, Eta and Iota)
  • In terms of pressure, Iota is the 20th most intense Atlantic hurricane on record
  • Volunteer firefighters huddle in prayer before beginning a search and rescue operation Nov. 7 in San Cristóbal Verapaz, Guatemala, in the aftermath of Hurricane Eta.
    Moises Castillo / AP
    /
    AP
    Volunteer firefighters huddle in prayer before beginning a search and rescue operation Nov. 7 in San Cristóbal Verapaz, Guatemala, in the aftermath of Hurricane Eta.

    Relief organizations, already stretched by their response to Hurricane Eta, are preparing for the damage Iota will most certainly cause throughout Central America.

    Climate Change Behind Larger, More Powerful Storms

    The life-threatening storm was made more likely by climate change, research shows. Hurricanes are more likely to be larger and more powerful when they form over hotter oceans, because they draw their energy from the water. Climate change is causing sea surface temperatures to rise around the world, and in the Caribbean and Gulf of Mexico, the water is consistently about 2 degrees Fahrenheit hotter than it was a century ago.

    The hurricane center's description of damage resulting from a Category 5 storm said that "a high percentage of framed homes will be destroyed. ... Fallen trees and power poles will isolate residential areas. Power outages will last for weeks to possibly months. Most of the area will be uninhabitable for weeks or months."

    Conor Walsh, who manages Catholic Relief Services in Honduras, said the capital, Tegucigalpa, is highly vulnerable — as is the rest of the country.

    Hurricane Iota, a Category 5 storm with maximum sustained winds of 160 mph, is due to make landfall Monday night in Nicaragua.
    / National Hurricane Center
    /
    National Hurricane Center
    Hurricane Iota, a Category 5 storm with maximum sustained winds of 160 mph, is due to make landfall Monday night in Nicaragua.

    "This storm is so big, it's going to go right across the whole country, and we expect widespread damage and widespread suffering," Walsh said.

    Timothy Hansell, manager of Catholic Relief Services in Nicaragua, said the charity is working to provide cleaning supplies and toilet paper to local residents, rebuild homes damaged in Hurricane Eta and help farmers recover from damage to crops.

    Nations Still Trying To Recover From Hurricane Eta

    Hurricane Eta hit two parts of Nicaragua hardest, Hansell said.

    "One is the Caribbean [coastal] Indigenous communities, and that's where we're getting the really strong winds and heavy flooding and houses destroyed," Hansell said. "The other area is the northern and central area of the country, which is where a lot of the farming areas are, and they're reporting ... 50% loss in the current season for beans [and] a lot of damage in rice and corn as well as in vegetables."

    The storm's impact on farms extends throughout the region.

    "These two storms are hitting at the worst possible time because ... farmers are just getting ready to harvest, and they lost massive amounts of beans and other basic grains to the storm," Walsh said. "So we're going to have to think about their immediate food security and then the long-term recovery of the agricultural sector."

    Risk of COVID-19 Increases Among Evacuees

    This coming week, Mercy Corps, a global humanitarian aid organization in Guatemala, plans to install water storage tanks at evacuation shelters in Alta Verapaz to ensure evacuees have access to clean water. But Miriam Aguilar, a Mercy Corps representative, said she anticipated flash flooding that may cut off her organization's access to the shelters.

    The risk from COVID-19 and waterborne diseases will only increase as more evacuees seek shelter, Aguilar said.

    "We are really concerned about the spread of COVID-19," she said.

    "In addition to formal shelters, including the ones that we have already been providing [personal protective equipment] and other urgent supplies ... there are also many informal shelters ... set up by communities themselves. They improvise the structures, and they are lacking basic resources."

    Copyright 2021 NPR. To see more, visit https://www.npr.org.

    Vanessa Romo is a reporter for NPR's News Desk. She covers breaking news on a wide range of topics, weighing in daily on everything from immigration and the treatment of migrant children, to a war-crimes trial where a witness claimed he was the actual killer, to an alleged sex cult. She has also covered the occasional cat-clinging-to-the-hood-of-a-car story.
    As NPR's Southern Bureau chief, Russell Lewis covers issues and people of the Southeast for NPR — from Florida to Virginia to Texas, including West Virginia, Kentucky, and Oklahoma. His work brings context and dimension to issues ranging from immigration, transportation, and oil and gas drilling for NPR listeners across the nation and around the world.